![]() |
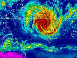
| Cyclone Yasi bearing down on the northeast corner of Australia, already flooded from weeks of rains. |
In Australia/New Zealand, the folks down under are preparing for Tropical Cyclone Yasi. Queensland cyclone could be biggest ever seen. Now that’s some headline! “Queensland premier Anna Bligh is warning residents to prepare themselves for a “frightening experience” as Cyclone Yasi approaches.”
Other newscasters speak thus of the monster:
“Tony Eastley: If the size of the satellite image is anything to go by then Cyclone Yasi bursting in from the Coral Sea is a potentially highly destructive storm system. It’s one of the largest tropical cyclones to approach the north Queensland coast for decades.” Other forecasters are saying the storm is a “once in a lifetime storm.” The storm is headed to already-flooded north Australia. Crops that may be wiped out are bananas, sugar, and of course tourism. Australia’s economy and certainly the world’s does not need another economic blow and more crops washed away in storms. The officials in Oz are really worried about Yasi. “Yasi will be worse than Larry” The article opens: “Severe tropical Cyclone Yasi will hit the north Queensland coast with greater ferocity than devastating Cyclone Larry, Premier Anna Bligh says. Ms Bligh, speaking after a meeting of the state disaster management group on Tuesday, said winds of more than 250km/h could be expected from the high category four system. By comparison Larry, which devastated Innisfail and surrounds in 2006, was a mid-level category four system. Larry damaged about 10,000 homes and caused $1.5 billion in damage.” Yasi is Australia’s Katrina.
In America, the headlines are also reporting on another monster storm. A once in a lifetime, record setting, deadly storm. This time it’s snow and ice. “A monster winter storm took aim at a third of the nation Monday, threatening to lay a potentially deadly path of heavy snow and ice from the Rockies to New England, followed by a wave of bitter, bone-rattling cold that could affect tens of millions of people.” Not just millions affected, but tens of millions. The Washington Post talks of the Midwest and New England being buried. “National Weather Service advisories and warnings are in effect in more than 20 states as a powerful storm gets organized in the Midwest. A blizzard warning is in effect for Chicago, where 12 to 20 inches of snow is possible. Other cities which may experience blizzard conditions include Tulsa, Wichita, Kansas City, and Detroit. The Chicago Tribune’s Weather Center cautions: “Snowfall totals in excess of 12 inches coupled with winds of 25 to 40 mph will make long distance travel extremely dangerous if not impossible.”
People in 20 states pinned down and buried, commerce at a standstill, plow rage erupting, lost business, lost revenues…Weather.com is saying that a third of the United States’ population could be affected. They are simply calling it “destructive”, “colossal”, “historic.”
And remember a week ago, China and Mongolia suffered under their biggest storm in years, if ever. “Rescue workers evacuated thousands of rural residents from parts of northwestern China after extreme cold and blizzard conditions killed four people and left half a million snowed under, meteorologists said Monday. “In neighboring Mongolia, an official appealed for help from the international community as his country battles the most severe winter it has seen in three decades. Storms in China’s far western Xinjiang flattened or damaged about 100,000 homes and more than 15,000 head of livestock were killed by the cold front that set in Sunday night.”
Why all these monster storms? It’s the end time, that’s why. These increasingly large warnings from the God who holds all weather in His hands is warning us to repent. I know many of you have heard this before and I know you believe that weather is just weather. But by now, do you really believe that? The crazy weather, the constant storms, the outsized monsters parading across the globe and bringing chaos in their wake…do you really think all that is just a coincidence? It’s not. After the rapture when Christians are gone (true born again believers that is) the storms will increase in an order of magnitude that will outstrip your ability to comprehend them. By then, the warnings of today will have turned to judgment tomorrow, and these monsters will seem like child’s play in comparison.
The Good News is that Jesus is warning us because He loves us. His death on the cross was the punishment for sin’s crimes, and He took that punishment. So far you may have rejected that pardon, but you have time to still take it before the storms I described a minute ago get truly bad. Email me and ask me more, if you want. But trust me, these monster, historic, record-setting storms will pale in comparison to judgment. You really need to think about what’s going on in the world and entertain the possibility that us crazy born again bible thumpers just may be right.

